Map
Link Copied
Listed price in listed location currency (CAD).
$6,450,000

000

MLS® 40778391

  • Key Facts
  • Description
  • Map

Key Facts

Type Residential Land
Levels Land
Size -
Garage No
Taxes $27,542
Days Active 131
Lot Size 
Approx. Age 
MLS® Number 40778391

Property Address: 593 Taunton Rd E, Ajax, ON, L1Z1T8

Average square foot calculated using Size range provided by listing agent.

Description

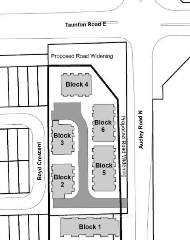
Great opportunity to purchase a 2.3 acre development parcel with zoning in place allowing for 88 stacked townhouse units and 8 traditional row townhomes. Located in the southwest corner of Taunton Rd E & Audley Rd. Prime Ajax location, close proximity to Highways 412, 401 and 407. Easy access to transit, near Deer Creek Golf Course, rec center, great local area amenities and huge residential development nearby. Property sold under Power of Sale on an 'as is, where is' basis, land value only. Comprehensive deliverable package available with signed confidentiality agreement.
MLS® Number40778391
Laundry Level
Central VacNo
FireplaceNo
Acreage
Exterior
GarageNo
Approx. Age
Basement
Driveway
Garage Spaces
Heat
A/C
Heating Fuel

Extras

Price History

-End Date
Not Sold YetSold Price

For Sale

Oct 14, 2025List Date
$6,450,000List Price
00/00/0000End Date
$XXX,XXXSold Price
Top Secret
00/00/0000List Date
$XXX,XXXList Price
00/00/0000End Date
$XXX,XXXSold Price
Top Secret
00/00/0000List Date
$XXX,XXXList Price
  • Commute

Commute

Starting Address
Destination Address
593 Taunton Rd E, Ajax, ON

Like what you see?

Complete the form and we'll be in touch. No login necessary.

Add a Comment
Loading...

Similar Listings

Comparable Properties